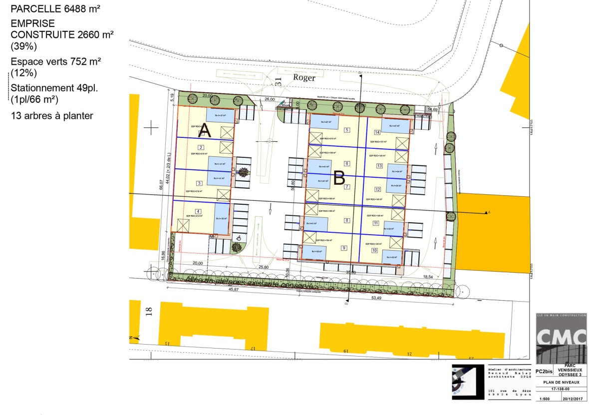
Construction d'un parc d'activités "Odyssée 3"
- Maitre d'ouvrage : Clé en Main Construction
- Ville : Vénissieux
- Surface terrain : 3175 m2
- Année du permis de constuire : 2018
Le projet a pour but la création de 3 bâtiments d'actvité comprenant 14 lots.
